Bởi lẽ, mắt vốn là vùng da mỏng manh, dễ tổn thương trên cơ thể nên thường là vùng da lão hóa sớm và nhiều nhất. Làm trẻ hóa nhanh vùng mắt là ưu tiên quan trọng hàng đầu để xóa nhòa những dấu vết xấu xí của tuổi “toan về già”. Và bộ tứ công nghệ đỉnh cao: Ultherapy – Thermage – Sóng Cao Tần – Chỉ collagen sẽ giúp vùng da nhạy cảm này của bạn trở nên căng đầy, mịn màng, đánh bại mọi hoài nghi về tác dụng trẻ hóa da thần kì của các công nghệ trẻ hóa ngày nay.

Thạc sỹ KT – MC Thanh Mai, giám đốc chuỗi thẩm mỹ viện BB Beauté – BB Thanh Mai
Xóa nếp nhăn quanh mắt – điều không khó tại BB Thanh Mai
Việc giữ gìn, chăm sóc da quanh vùng mắt bằng các động tác massage, kem dưỡng chỉ có tác dụng làm chậm bớt sự tác động của quá trình lão hóa. Theo thời gian, các nếp nhăn quanh sẽ hình thành, cung mày, mi mắt sẽ đổ xuống bất chấp bạn đã nâng niu, chăm sóc như thế này. Lúc này đòi hỏi có sự can thiệp của các phương pháp tiên tiến tác động vào đến lớp collagen và elestin – lớp tế bào quyết định tình trạng da.
• Ultherapy:

Đây là công nghệ sử dụng sóng siêu âm tập trung vi điểm, đưa năng lượng với nhiệt độ tối ưu nhất để làm biến tính và phá hủy collagen già cỗi, kích thích sản sinh collagen mới và elastin ở dưới da, đồng thời tác động đặc biệt hiệu quả tới lớp cơ, làm săn chắc mô cơ dưới da, chân mày giúp chân mày nâng cao, căng da đuôi mắt, từ đó nếp nhăn sâu giảm rõ rệt.
• Căng da bằng chỉ Collagen
Với cấu tạo đặc biệt, khi được đưa vào bên dưới da, lực lò xo của sợi chỉ collagen sẽ giúp kéo căng các nếp da chùng nhão thẳng lại, xóa bỏ nếp nhăn quanh mắt một cách nhanh chóng. Mạng lưới chỉ collagen bám vào da, kích thích sự sản xuất collagen tự nhiên trong cơ thể, lượng collagen tối đa được tập hợp xung quanh lưới chỉ giúp làn da sáng, ngăn ngừa tăng sắc tố, kích thích sự lưu thông của mạch máu dọc theo từng sợi chỉ, giúp da rạng rỡ khỏe mạnh, săn chắc. Ngay sau khi chỉ tiêu hoàn toàn, collagen vẫn được kích thích sản sinh giúp săn chắc vùng da quanh mắt, cho đôi mắt trông trẻ trung hơn rất nhiều.
• Thermage
Thermage cũng được coi là 1 trong những “công nghệ Vàng” trong điều trị nếp nhăn quanh mắt. Cũng như Ultherapy, Thermage có đầu tip riêng sử dụng cho vùng mắt. Nhờ lượng nhiệt lớn, đồng nhất và sâu cùng sóng tần số vô tuyến tác động vào các sợi collagen, Thermage giúp làm nóng một cách chọn lọc vách ngăn sợi collagen, phá hủy collagen cũ, đồng thời kích thích sản sinh collagen mới, từ đó mang đến cho bạn một làn da láng mịn, mượt mà, giàu sức sống từ bên trong.
• Công nghệ sóng cao tần
Tương tự Thermage, công nghệ sóng cao tần đi sâu đến lớp collagen một cách tối đa và an toàn nhất nhằm kích thích sản sinh collagen mới, bẻ gãy và phá hủy collagen đã già cỗi, từ đó tạo nên sự săn chắc cho da và giảm các nếp nhăn ngay sau lần điều trị đầu tiên. Ngoài ra, công nghệ này còn có khả năng làm tiêu mỡ phần bọng mắt, giúp đôi mắt linh hoạt, giàu sức sống hơn.
Tại sao bạn nên chọn BB Beauté – BB Thanh Mai?
• Vùng mắt là vùng da nhạy cảm và có vai trò vô cùng quan trọng trong diện mạo gương mặt, vì thế bạn cần chọn cho mình các công nghệ điều trị chính hãng, uy tín để tránh những rủi ro đáng tiếc. BB Beauté – BB Thanh Mai là cơ sở duy nhất tại Việt Nam sở hữu cả 4 công nghệ trẻ hóa da chính hãng hàng đầu thế giới đã được chứng nhận bởi FDA Hoa Kì, chắc chắn là 1 địa chỉ đáng tin cậy cho những ai đang muốn “cải lão hoàn đồng” cho “cửa sổ tâm hồn”
• BB Beauté – BB Thanh Mai là thẩm mỹ viện uy tín với sự điều hành của thạc sỹ kinh tế, MC Thanh Mai, 1 trong 50 gương mặt Nữ doanh nhân châu Á – Thái Bình Dương do Hội đồng Nữ doanh nhân bầu chọn. Vì thế, khách hàng hoàn toàn có thể tin tưởng gửi gắm sức khỏe, sắc đẹp tại đây.
• Đội ngũ bác sỹ, chuyên gia tài năng, giàu kinh nghiệm từ châu Âu, Hàn Quốc, Việt Nam sẽ giúp khách hàng có được liệu trình điều trị tốt nhất khi đến BBB.

Thanh Mai và một số bạn bè nghệ sỹ trong ngày khai trương trung tâm thứ 3 tại Quận 1
Quy trình điều trị trẻ hóa tại BBB
• Bước 1:Tư vấn, khám da, lên phác đồ điều trị
• Bước 2: Bước chuẩn bị da ( rửa mặt, tẩy tế bào chết, ủ tê)
• Bước 3: Thực hiện phác đồ điều trị, sử dụng 1 hoặc kết hợp sử dụng các công nghệ trẻ hóa da cho vùng mắt tại BB Beauté – BB Thanh Mai
• Bước 4: Sau khi điều trị, bạn không cần phải chăm sóc da một cách quá đặc biệt, chỉ cần lưu ý nên ăn, uống đồ ấm, rửa mặt bằng nước ấm trong vòng 24h; không xông nóng, không massage trong 2 tuần đầu, rửa mặt nhẹ nhàng theo hướng đi lên và khách hàng nên sử dụng bộ sản phẩm nâng cơ săn chắc cao cấp do bác sỹ điều trị chỉ định đẻ đảm bảo chắc chắn về kết quả lâu dài.
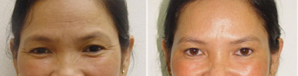
Hình ảnh trước – sau khi điều trị trẻ hóa da tại BBB



Khách hàng nói gì về các phương pháp chữa nếp nhăn quanh mắt tại BBB?
[Chị Ngọc Lan – 36 tuổi] – Mình là người hay cười, nên dường như đuôi mắt xuất hiện nhiều nếp nhăn hơn mọi người. Mình đã từng rất bối rối để tìm cách khắc phục nhược điểm này trên khuôn mặt. May mắn là mình biết đến trung tâm làm đẹp của chị Thanh Mai và được các bác sĩ tư vấn sử dụng 2 phương pháp chữa nhăn da vùng mắt là Thermage và căng da bằng chỉ Collagen. Kết quả mang lại khiến mình vô cùng ngạc nhiên! Phần nếp nhăn đuôi mắt của mình mờ đi thấy rõ, phần mí mắt được nâng lên khiến cho gương mặt trở lên sinh động và trẻ trung hơn hẳn.
[Anh Quốc Cường - 42 tuổi] – Mình nghĩ là phụ nữ hay đàn ông cũng nên quan tâm đến vẻ bề ngoài của mình một chút để thuận tiện cho công việc, bản thân cũng cảm thấy yêu đời hơn. Tôi cho rằng mình cũng là người có nét dễ nhìn, nhưng khi bắt đầu “có tuổi”, các nét trên gương mặt bắt đầu thay đổi, làn da chùng nhão, nhiều nếp nhăn, phần nọng cằm xuất hiện vì tăng cân. Vì thế, tôi đã tìm đến BB Thanh Mai với hi vọng thay đổi được tình trạng này. Nhờ sử dụng công nghệ Ultherapy và sóng cao tần tại đây, đường nét gương mặt của tôi đã được phục hồi đến 80%, đặc biệt là tình trạng nhăn vùng da quanh vùng mắt được cải thiện rõ rệt.
Liên hệ để biết thêm chi tiết:
Tp. Hồ Chí Minh:
- Số 2 Bùi Thị Xuân, Quận 1
ĐT:(08) 3925 7755 - (08) 3925 6655
- 163 đường D2, P.25, Q. Bình Thạnh
ĐT: (08) 3.512.7274 - Hotline: 096.685.9099
Hà Nội:
74 Tô Hiến Thành, P. Bùi Thị Xuân, Q. Hai Bà Trưng
ĐT: (04) 666.18.777 – (04).666.28.777
Email: [email protected]
Website: bbbeaute.com.vn – bbthanhmai.com.vn
Hoàng Giang (Theo Giadinhvietnam.com)
Tin được quan tâm
Tin cùng mục
Tin mới cập nhật